System Rada
Profile Radnych, komisje, interpelacje, kalendarz posiedzeń.
eWrota
BIPy jednostek organizacyjnych.
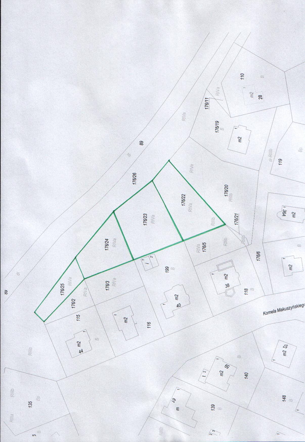
BURMISTRZ LIPIAN OGŁASZA PIERWSZY PRZETARG USTNY NIEOGRANICZONY NA ZBYCIE NIERUCHOMOŚCI NIEZABUDOWANYCH STANOWIĄCYCH WŁASNOŚĆ GMINY LIPIANY- działki ul. Makuszyńskiego
BURMISTRZ LIPIAN OGŁASZA
PIERWSZY PRZETARG USTNY NIEOGRANICZONY
NA ZBYCIE NIERUCHOMOŚCI NIEZABUDOWANYCH
STANOWIĄCYCH WŁASNOŚĆ GMINY LIPIANY
1.
Działka niezabudowana położona w obrębie 1 m. Lipiany przy ul. Makuszyńskiego w Lipianach oznaczona numerem 176/22 o pow.
690 m2 posiadająca księgę wieczystą o numerze SZ2T/00003764/4.
Cena wywoławcza nieruchomości: 15.600,00 zł słownie: piętnaście tysięcy sześćset złotych.
Wadium wynosi 20% ceny wywoławczej tj. kwota 3.120,00 zł słownie: trzy tysiące sto dwadzieścia złotych.
Przetarg odbędzie się w dniu 22 lutego 2012 r. o godzinie 11.00 w siedzibie Urzędu Miejskiego w Lipianach, Plac Wolności 1, sala konferencyjna nr 19 (pierwsze piętro). Warunkiem uczestnictwa w przetargu jest wpłacenie wadium w gotówce w terminie do dnia 17 lutego 2012 r. i okazanie Komisji Przetargowej w chwili otwarcia przetargu dowodu jego wniesienia.
2.
Działka niezabudowana położona w obrębie 1 m. Lipiany przy ul. Makuszyńskiego w Lipianach oznaczona numerem 176/23 o pow. 822 m2 posiadająca księgę wieczystą o numerze SZ2T/00003764/4.
Cena wywoławcza nieruchomości: 18.500,00 zł słownie: osiemnaście tysięcy pięćset złotych.
Wadium wynosi 20% ceny wywoławczej tj. kwota 3.700,00 zł słownie: trzy tysiące siedemset złotych.
Przetarg odbędzie się w dniu 22 lutego 2012 r. o godzinie 12.00 w siedzibie Urzędu Miejskiego w Lipianach, Plac Wolności 1, sala konferencyjna nr 19 (pierwsze piętro). Warunkiem uczestnictwa w przetargu jest wpłacenie wadium w gotówce w terminie do dnia 17 lutego 2012 r. i okazanie Komisji Przetargowej w chwili otwarcia przetargu dowodu jego wniesienia.
3.
Działka niezabudowana położona w obrębie 1 m. Lipiany przy ul. Makuszyńskiego w Lipianach oznaczona numerem 176/24 o pow.
547 m2 posiadająca księgę wieczystą o numerze SZ2T/00003764/4.
Cena wywoławcza nieruchomości: 12.300,00 zł słownie: trzynaście tysięcy trzysta złotych.
Wadium wynosi 20% ceny wywoławczej tj. kwota 2.460,00 zł słownie: dwa tysiące czterysta sześćdziesiąt złotych.
Przetarg odbędzie się w dniu 22 lutego 2012 r. o godzinie 13.00 w siedzibie Urzędu Miejskiego w Lipianach, Plac Wolności 1, sala konferencyjna nr 19 (pierwsze piętro). Warunkiem uczestnictwa w przetargu jest wpłacenie wadium w gotówce w terminie do dnia 17 lutego 2012 r. i okazanie Komisji Przetargowej w chwili otwarcia przetargu dowodu jego wniesienia.
4.
Działka niezabudowana położona w obrębie 1 m. Lipiany przy ul. Makuszyńskiego w Lipianach oznaczona numerem 176/25 o pow.
294 m2 posiadająca księgę wieczystą o numerze SZ2T/00003764/4.
Cena wywoławcza nieruchomości: 6.600,00 zł słownie: sześć tysięcy sześćset złotych.
Wadium wynosi 20% ceny wywoławczej tj. kwota 1.320,00 zł słownie: jeden tysiąc trzysta dwadzieścia złotych.
Przetarg odbędzie się w dniu 22 lutego 2012 r. o godzinie 14.00 w siedzibie Urzędu Miejskiego w Lipianach, Plac Wolności 1, sala konferencyjna nr 19 (pierwsze piętro). Warunkiem uczestnictwa w przetargu jest wpłacenie wadium w gotówce w terminie do dnia 17 lutego 2012 r. i okazanie Komisji Przetargowej w chwili otwarcia przetargu dowodu jego wniesienia.
Do ceny sprzedaży nieruchomości zostanie doliczony podatek VAT zgodnie z przepisami obowiązującymi w dniu sprzedaży.
Nieruchomość nie jest obciążona, ani nie jest przedmiotem innych zobowiązań.
Brak obowiązującego planu zagospodarowania przestrzennego. W studium uwarunkowań i kierunków zagospodarowania przestrzennego miasta i gminy Lipiany działka położona jest na terenie określonym jako tereny zielone.
Przedmiotowe działki nie są uzbrojone w urządzenia komunalne.
Układ komunikacji drogowej i dostęp do nieruchomości jest utrudniony. Dostęp do nieruchomości możliwy będzie poprzez ustanowienie służebności gruntowych na działce nr 176/26 obręb 1 m. Lipiany (stanowiącą skarpę), która umożliwi dojście do nieruchomości z drogi (działka nr 89 obręb 1 m. Lipiany) biegnącej wzdłuż jeziora Wądół.
Przyszli nabywcy własnym staraniem i na własny koszt wykonają dojście do nieruchomości po skarpie, którą stanowi działka nr 176/26 obręb 1 m. Lipiany.
Wadia należy wpłacićw kasie Urzędu Miejskiego w Lipianach w godz. 9.00-14.00 lub na konto Urzędu Miejskiego w Lipianach: Bank Spółdzielczy Wolin O/Lipiany nr konta 20 9393 1010 2600 0824 2000 0160.
Wadium oferenta, który wygra przetarg zostanie zaliczone na poczet ceny nabycia nieruchomości, a innym oferentom zostanie zwrócone.
Zapłata pozostałej należności za zakup nieruchomości musi nastąpić przed zawarciem umowy sprzedaży, z odpowiednim wyprzedzeniem tak, aby środki pieniężne znalazły się na rachunku bankowym tut. Urzędu przed zawarciem umowy.
Koszty zawarcia umowy sprzedaży ponosi kupujący.
Osoby fizyczne zobowiązane są przedstawić komisji przetargowej dokument stwierdzający ich tożsamość, natomiast osoby prawne – aktualny odpis z właściwego rejestru handlowego, stosowne pełnomocnictwa, dokumenty tożsamości osoby reprezentującej podmiot.
Uczestnicy biorą udział w przetargu osobiście lub przez pełnomocnika. Pełnomocnictwo wymaga formy pisemnej.
Do nabycia nieruchomości przez oferenta zagranicznego mają zastosowanie odpowiednie przepisy o nabywaniu nieruchomości przez cudzoziemców.
W wypadku uchylenia się osoby wygrywającej przetarg od zawarcia umowy sprzedaży – wadium nie podlega zwrotowi.
Dodatkowe informacje o nieruchomości zamieszczonej w ogłoszeniu o przetargu można uzyskać w Urzędzie Miejskim w Lipianach, tel. (91) 5641 049, 5641 069.
Burmistrz Lipian może odwołać ogłoszony przetarg z uzasadnionej przyczyny, informując o tym w formie właściwej dla ogłoszenia o przetargu.
Załączniki do pobrania
| Lp. | Plik | Data dodania | Liczba pobrań |
|---|---|---|---|
| 1 | mapka.jpg (JPG, 284.63Kb) | 2012-01-20 14:06:13 | 378 razy |
Metadane - wyciąg z rejestru zmian
| Akcja | Osoba | Data |
|---|---|---|
| Dodanie dokumentu: | Agnieszka Kosiorek | 20-01-2012 14:06:13 |
| Osoba, która wytworzyła informację lub odpowiada za treść informacji: | Agnieszka Kosiorek | 16-01-2012 |
| Ostatnia aktualizacja: | Agnieszka Kosiorek | 20-01-2012 14:06:13 |

