System Rada
Profile Radnych, komisje, interpelacje, kalendarz posiedzeń.
eWrota
BIPy jednostek organizacyjnych.
Pierwszy przetarg ustny nieograniczony na zbycie nieruchomości zabudowanej stanowiącej własność Gmniy Lipiany przy ul. Szkolnej
BURMISTRZ LIPIAN OGŁASZA
PIERWSZY PRZETARG USTNY NIEOGRANICZONY
NA ZBYCIE NIERUCHOMOŚCI ZABUDOWANEJ
STANOWIĄCEJ WŁASNOŚĆ GMINY LIPIANY
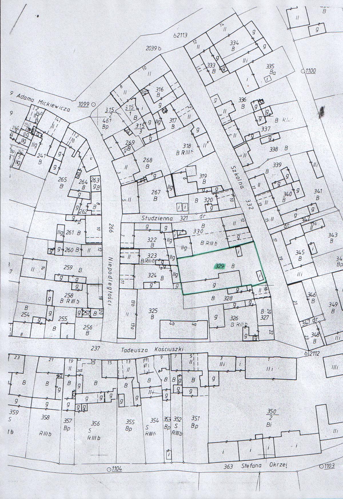
Działka zabudowana budynkiem warsztatowo-garażowym o pow. użytkowej 248,39 m2 położona w obrębie
w Lipianach oznaczona numerem 329 o pow. 1.167 m2, pod zabudowę mieszkaniową, usługową.
Zgodnie z § 1 Uchwały Nr XXV/215/2009 Rady Miejskiej w Lipianach z dnia 28 kwietnia 2009 r. w sprawie obniżenia bonifikaty przy sprzedaży nieruchomości wpisanych do rejestru zabytków stanowiących własność Gminy Lipiany obniżono bonifikatę wynikającą z art. 68 ust. 3 ustawy o gospodarce nieruchomościami do wysokości 10% ceny przy sprzedaży działki nr 329 obręb
Cena wywoławcza nieruchomości: 100.800,00 zł
słownie: sto tysięcy osiemset złotych.
Brak obowiązującego planu zagospodarowania przestrzennego. W studium uwarunkowań
i kierunków zagospodarowania przestrzennego miasta i gminy Lipiany działka położona na terenie przeznaczonym pod zabudowę mieszkaniową, usługową.
Do ceny sprzedaży nieruchomości zostanie doliczony podatek VAT zgodnie z przepisami obowiązującymi w dniu sprzedaży.
Nieruchomość nie jest obciążona, ani nie jest przedmiotem innych zobowiązań.
Przedmiotowa działka i budynek znajduje się na terenie Starego Miasta wpisanego do rejestru zabytków pod numerem 43 (dec. z dnia 30.07.1955 r., znak KI.V.-O/22/55), w strefie ochrony konserwatorskiej stanowisk archeologicznych.
Przyszły właściciel każdego z obiektów przyjmuje zobowiązanie użytkowania nieruchomości w sposób zgodny z zasadami opieki nad zabytkami.
Wszelkie prace i roboty przy zabytkach wolno prowadzić tylko za pozwoleniem, opinią Wojewódzkiego Konserwatora Zabytków w Szczecinie, prace ziemne wolno prowadzić jedynie pod nadzorem archeologicznym (koszty nadzoru archeologicznego ponosi właściciel nieruchomości), po uprzednim uzyskaniu stosownego pozwolenia od Wojewódzkiego Konserwatora Zabytków w Szczecinie.
Planując zabudowę działki należy zlokalizować budynek w historycznej linii zabudowy z charakterystycznym dla zabudowy przejazdem bramnym o parametrach dostosowanych do przyległej zabudowy.
Przed przystąpieniem do przetargu zainteresowany jest zobowiązany do przedłożenia programu użytkowego zaopiniowanego przez Zachodniopomorskiego Wojewódzkiego Konserwatora Zabytków w Szczecinie, zawierającego informacje o planowanym sposobie zagospodarowania działki (z określeniem czasu realizacji wyszczególnionych zadań).
Wadium wynosi 20% ceny wywoławczej tj. kwota 20.160,00 zł
słownie: dwadzieścia tysięcy sto sześćdziesiąt złotych.
Przetarg odbędzie się w dniu 11 sierpnia 2009 r. o godzinie 11.00 w siedzibie Urzędu Miejskiego w Lipianach, Plac Wolności 1, sala konferencyjna nr 19 (pierwsze piętro).
Osoby zamierzające uczestniczyć w przetargu zobowiązane są do złożenia w Urzędzie Miejskim w Lipianach (pokój nr 2) w terminie do dnia 06 sierpnia 2009 r. zaakceptowanego przez Zachodniopomorskiego Wojewódzkiego Konserwatora Zabytków w Szczecinie programu użytkowego.
Komisja przetargowa zweryfikuje, czy oferenci spełnili warunki przetargowe i zakwalifikuje do uczestnictwa w przetargu, wywieszając listę osób zakwalifikowanych w siedzibie Urzędu Miejskiego w Lipianach na tablicy ogłoszeń w dniu 07 sierpnia 2009 r.
Warunkiem uczestnictwa w przetargu jest wpłacenie wadium w gotówce w terminie do dnia 06 sierpnia 2008 r. i okazanie komisji przetargowej w chwili otwarcia przetargu dowodu jego wniesienia.
Wadium należy wpłacić w kasie Urzędu Miejskiego w Lipianach w godz. 9.00-14.00 lub na konto Urzędu Miejskiego w Lipianach: Bank Spółdzielczy Wolin O/Lipiany nr konta 20 9393 1010 2600 0824 2000 0160.
Wadium oferenta, który wygra przetarg zostanie zaliczone na poczet ceny nabycia nieruchomości, a innym oferentom zostanie zwrócone.
Zapłata pozostałej należności za zakup nieruchomości musi nastąpić przed zawarciem umowy sprzedaży, z odpowiednim wyprzedzeniem tak, aby środki pieniężne znalazły się na rachunku bankowym tut. Urzędu przed zawarciem umowy.
Koszty zawarcia umowy sprzedaży ponosi kupujący.
Osoby fizyczne zobowiązane są przedstawić komisji przetargowej dokument stwierdzający ich tożsamość, natomiast osoby prawne – aktualny odpis z właściwego rejestru handlowego (lub równorzędnego), pełnomocnictwo, dokumenty tożsamości osoby reprezentującej –
w oryginałach. Uczestnicy biorą udział w przetargu osobiście lub przez pełnomocnika. Pełnomocnictwo wymaga formy pisemnej.
Do nabycia nieruchomości przez oferenta zagranicznego mają zastosowanie odpowiednie przepisy o nabywaniu nieruchomości przez cudzoziemców.
W wypadku uchylenia się osoby wygrywającej przetarg od zawarcia umowy sprzedaży – wadium nie podlega zwrotowi.
Dodatkowe informacje o nieruchomości zamieszczonej w ogłoszeniu o przetargu można uzyskać w Urzędzie Miejskim w Lipianach pokój nr 2, tel. (0-91) 5641 049, 5641 069.
Burmistrz Lipian może odwołać ogłoszony przetarg z uzasadnionej przyczyny, informując
o tym w formie właściwej dla ogłoszenia o przetargu.
Załączniki do pobrania
| Lp. | Plik | Data dodania | Liczba pobrań |
|---|---|---|---|
| 1 | mapka_-Szkolna.jpg (JPG, 542.27Kb) | 2009-06-01 15:03:38 | 298 razy |
Metadane - wyciąg z rejestru zmian
| Akcja | Osoba | Data |
|---|---|---|
| Dodanie dokumentu: | Agnieszka Kosiorek | 01-06-2009 15:03:38 |
| Osoba, która wytworzyła informację lub odpowiada za treść informacji: | Agnieszka Kosiorek | 15-05-2009 |
| Ostatnia aktualizacja: | Agnieszka Kosiorek | 02-06-2009 07:49:42 |

